Публичные слушания
Публичные слушания
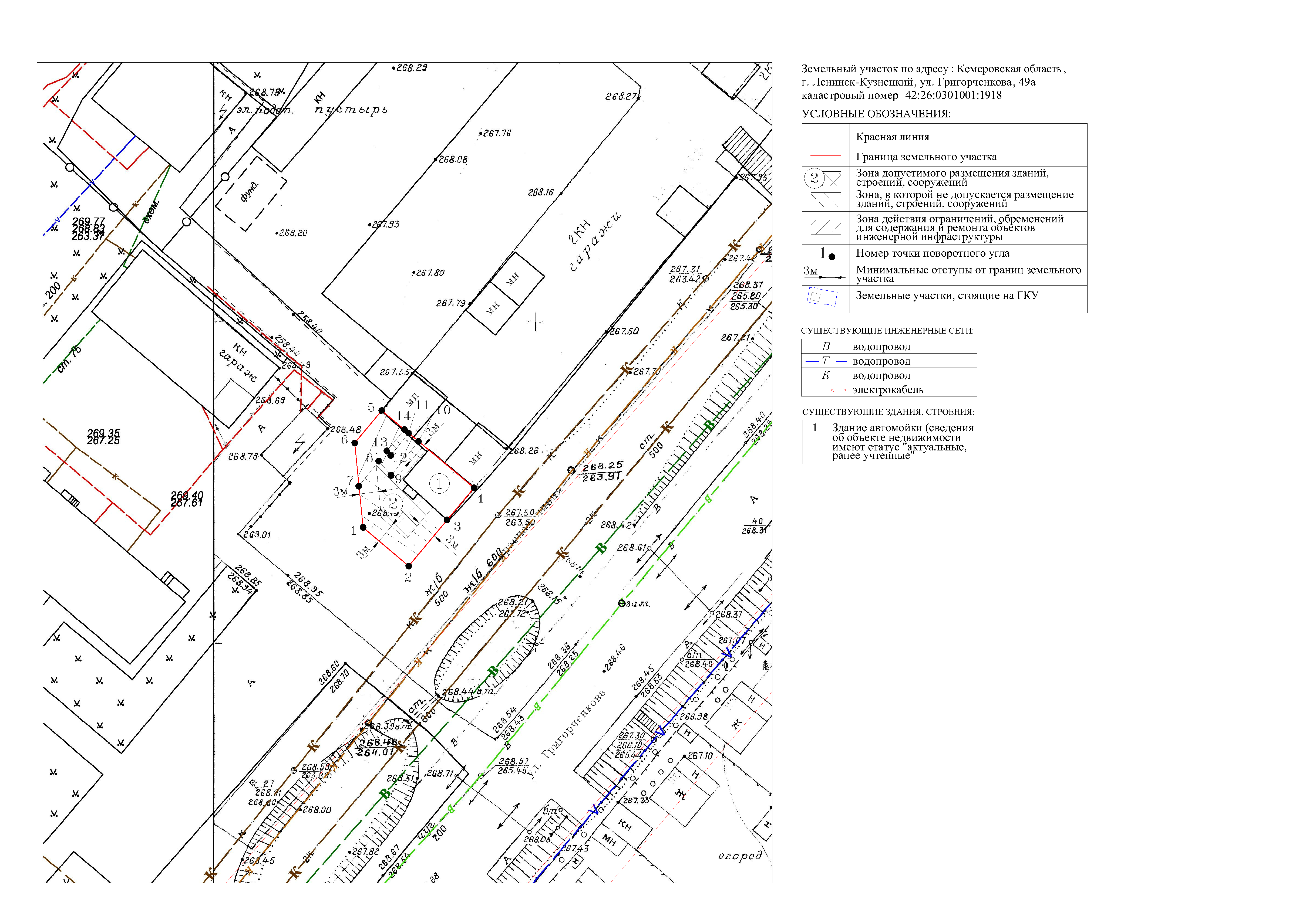
Администрация Ленинск-Кузнецкого городского округа и Файзуллаев Суннатилло Ойбек Оглы сообщают о начале публичных слушаний по вопросу предоставления разрешения на отклонение от предельных параметров разрешенного строительства, реконструкции объекта капитального строительства на земельном участке с кадастровым номером 42:26:0301001:1918, расположенного по адресу: Кемеровская область, г.Ленинск-Кузнецкий, ул.Григорченкова, 49а, в части изменения места допустимого размещения строений, зданий, сооружений – уменьшение минимальных отступов от границ земельного участка с 3 м до 0 м по юго-восточной стороне от точки 2 до точки 3 и по северо-восточной стороне от точки 4 до точки 5 на градостроительном плане земельного участка.
Письменные заявления и возражения по вопросу предоставления разрешения на условно разрешенный вид использования земельного участка принимаются по адресу: г.Ленинск-Кузнецкий, просп.Кирова, 56, каб. 407, а также на адрес электронной почты yaig_leninsk@mail.ru до 18.04.2019 включительно.
Внимание! 18.04.2019 г. в 16.00 ч. состоится общее собрание граждан и заинтересованной общественности в рамках публичных слушаний по данному вопросу в здании МАУ «Ленинск-Кузнецкий МФЦ» по адресу: г.Ленинск-Кузнецкий, просп.Текстильщиков, 14, 2 этаж, конференц-зал.
Заключение по результатам публичных слушаний будет опубликовано в «Городской газете» и на официальном сайте администрации Ленинск-Кузнецкого городского округа в информационно-телекоммуникационной сети «Интернет».
Дополнительную информацию можно получить по тел. 3-14-22.
Документы для загрузки: Постановление / Графическая часть / Заключение



