Публичные слушания
13.05.2015

Публичные слушания

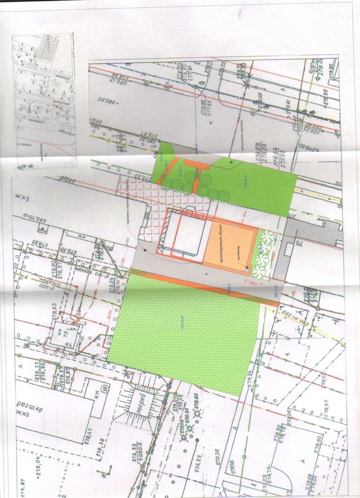
Администрация Ленинск-Кузнецкого округа городского и Хаимова Ж.В. сообщают о начале публичных слушаний по вопросу  предоставления разрешения на отклонение от предельных параметров разрешенного строительства на земельном участке с кадастровым номером 42:26:0401001:14333, площадью 245 кв.м с местоположением: Кемеровская  область,  г.Ленинск-Кузнецкий,  на юго-запад  в  7 метрах  от  жилого  дома № 77 по просп.Кирова (сокращение минимальных отступов от границ земельного участка  с 1 м до 0,7 м, процент  застройки 64,5 %  вместо разрешенных 50%).

Ознакомиться с эскизным предложением и оставить свои замечания и предложения можно с 13.05.2015 г. по 20.05.2015 г. с 10.00 до 16.00 ч. ежедневно (кроме субботы и воскресенья) в здании администрации города (просп. Кирова,56, 4 этаж, каб. 416), а также на официальном сайте администрации Ленинск-Кузнецкого городского округа в сети Интернет: www.leninsk-kuz.ru.

Внимание! 20.05.2015 г. в 17.00 ч. состоится общее собрание жителей в рамках публичных слушаний по данному вопросу в здании медицинского колледжа по адресу: г.Ленинск-Кузнецкий, ул.Зварыгина,6.

Результаты собрания войдут в протокол публичных слушаний и будут переданы в комиссию по проведению публичных слушаний при администрации городского округа.

С кратким отчетом о проведении публичных слушаний можно будет ознакомиться с 26.05.2015 г. в здании администрации городского округа по адресу: г.Ленинск-Кузнецкий, просп.Кирова,56, каб. 416.

Дополнительную информацию можно получить по тел. 3-14-22.

 

 

 

Заместитель начальника УАиГ                                                                        Р.М.Исмагилова


Документы для загрузки: Постановление / Пояснительная записка 1 / Пояснительная записка 2 / Графический материал 1 / Графический материал 2 / Графический материал 3 / Заключение / Постановление об отказе

Возврат к списку

Ваше мнение

Интернет-ресурсы